外来カミキリムシについて
外来カミキリムシに関する情報
クビアカツヤカミキリ
1 クビアカツヤカミキリとは
外来生物法において、『特定外来生物』に指定されています。
生きたままの個体の運搬や野外への放出、飼養などが法律により規制されています。
□原産地 中国,モンゴル,朝鮮半島,台湾,ベトナム
□特徴 体長 約20~40mm 胸部(クビ)が赤色。身体全体はツヤのある黒色をしており、触覚も黒色。
□生態 幼虫は樹木の内部で2~3年過ごして成長する。成虫になると木からでてくる。
成虫は6月から8月にかけて出現して交尾や産卵を行なう。
1匹のメスが1,000個以上産卵した事例もあるほど繁殖力が強い。
□被害 幼虫が樹木の内部を食い荒すため、被害が進行すると木は枯死してしまう。
枯死してしまうと、落枝や倒木の恐れがある。
※主な被害樹種・・・・モモやウメ、スモモなどのバラ科樹木、サクラ類など
2 発生状況
現在県内における発生は確認されていません。
隣県の群馬県、栃木県、茨城県の一部地域において発生が確認されているので注意が必要です。
★福島県 クビアカツヤカミキリチラシ [PDFファイル/1.36MB]
※1ページ目は大人向け、2ページ目は子供向けの内容となっています。
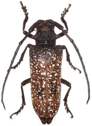
ツヤハダゴマダラカミキリ
1 ツヤハダゴマダラカミキリとは
外来生物法において、『特定外来生物』に指定されています。
生きたままの個体の運搬や野外への放出、飼養などが法律により規制されています。
国際自然保護連合により「世界の侵略的外来種ワースト100」に認定されている外来生物です。
□原産地 中国(香港含む)~朝鮮半島
□特徴 体長 約20~35mm
在来種であるゴマダラカミキリに似ているが、胸部の白紋がないことや、
上翅基部(硬いはねのつけね部分)は白紋がなく顆粒状突起(ブツブツとした突起)を持たな
いことなどが違いとして挙げられる。
★在来種のゴマダラカミキリとの見分け方や雌雄の違いなど [PDFファイル/1.17MB]
□生態 幼虫はしばらく樹木の内部で過ごし、成虫になると木からでてくる。
成虫は5~10月に出現し、産卵を行う。
□被害 幼虫が樹木の内部を食い荒すため、被害が進行すると木は枯死してしまう。
枯死してしまうと、落枝や倒木の恐れがある。
※県内における主な被害樹種・・・・トチノキ、カツラ等
2 発生状況
県北、県南地域を中心に県内20市町村において発生が確認されています。
全国ではこれまでに、茨城県、神奈川県、兵庫県等の一部地域において発生が確認されています。
3 対策方法
●伐採と処分 ※拡散防止のため、成虫の発生しない時期(10月~4月頃)に行うことが望ましいです。
被害の拡大を防ぐために最も有効な方法です。
伐採後の処分は、施設での焼却をお願いします。
(伐採した木を放置すると成虫が発生してしまうため、伐採後は速やかに処分してください。)
なお、伐採木搬出の際はカミキリムシの拡散を防ぐため、虫が逃げ出さないようにシートで覆うなど逸出防止
措置を行いましょう。
●薬剤処理
・ロビンフッド:排糞孔(幼虫が木の内部からフラス(糞と木くずが混ざったもの)を排出する穴)にノズル
を差し込み噴射する形で使用します。
噴射前には、針金等でフラスを可能な限り除去してから、孔にノズルを差し込み、液が漏れ
てくるまで噴射します。
・スミパイン乳剤(MEP剤)など:成虫の発生直前や発生時期に樹幹に散布するタイプの薬剤です。
使用の際は周囲へ農薬が飛散しないよう注意しましょう。
●網掛け(拡散防止):被害のある木にネットを巻くことで成虫の飛散防止となります。
巻いた後は定期的に見回り、成虫を見つけたら捕殺します。
サビイロクワカミキリ(国内初確認)
1 サビイロクワカミキリとは
外来生物法において、『特定外来生物』に指定されています。
生きたままの個体の運搬や野外への放出、飼養などが法律により規制されています。
成虫(メス) 産卵痕
□原産地 中国、インド、ミャンマー、タイ、カンボジアなど
□特徴 体長 約29~37mm
サビ色の体に白い斑点があるのが特徴。上翅基部には顆粒状の突起がある。
□生態 幼虫は2年程度樹木の内部で過ごし、成虫になると木からでてくる。
成虫は7~9月頃に出現し、主に夜間に交尾や産卵を行う。
樹皮に卵を産み、その卵を腹部から出す体液で塗り固めマウンド状の産卵痕を形成する。
□被害 幼虫が樹木の内部を食い荒すため、被害が進行すると木は枯死してしまう。
枯死してしまうと、落枝や倒木の恐れがある。
※県内における主な被害樹種・・・・イヌエンジュ、エンジュ
2 発生状況
県中地域を中心に県内19市町村において発生が確認されています。
他都道府県での発生は確認されていません。
3 対策方法
●伐採と処分 ※拡散防止のため、成虫の発生しない時期(11月~5月頃)に行うことが望ましいです。
被害の拡大を防ぐために最も有効な方法です。
伐採後の処分は、施設での焼却をお願いします。
(伐採した木を放置すると成虫が発生してしまうため、伐採後は速やかに処分してください。)
なお、伐採木搬出の際はカミキリムシの拡散を防ぐため、虫が逃げ出さないようにシートで覆うなど逸出防止措置を行いましょう。
●薬剤処理
・ロビンフッド:排糞孔にノズルを差し込み噴射する形で使用します。
噴射前には、針金等でフラス(幼虫の糞と木くずが混ざったもの)を可能な限り除去してから、
孔にノズルを差し込み、液が漏れてくるまで噴射します。
・スミパイン乳剤(MEP剤)など:成虫の発生直前や発生時期に樹幹に散布するタイプの薬剤です。
使用の際は周囲へ農薬が飛散しないよう注意しましょう。
●網掛け(拡散防止):被害のある木にネットを巻くことで成虫の飛散防止となります。
巻いた後は定期的に見回り、成虫を見つけたら捕殺します。
外来カミキリムシを発見したら・・・
1 可能な限り、見つけた成虫の捕殺や被害木への対策等に御協力ください。
クビアカツヤカミキリについては特に果樹への被害が確認されている種のため放置せずに成虫はその場で
捕殺いただくよう御協力願います。
※クビアカツヤカミキリ、ツヤハダゴマダラカミキリ、サビイロクワカミキリは『特定外来生物』に指定され
ているため、生きたままの個体の移動が禁止されていますのでご注意ください。
2 発見した場所(住所)、個体の数、被害を受けた木の樹種や本数等の情報を自然保護課まで情報提供くださ
い。
3 写真送付に協力いただける場合には、以下の問い合わせ先まで情報提供願います。
なお、特徴がわかるようにできるだけピントのあった写真(全体が見える写真)を撮影、送付いただきますよ
うお願いいたします。
問い合わせ先
福島県庁自然保護課
電話 024-521-7210(土日祝日および12月29日~1月3日を除く)
Fax 024-521-7927
E-mail yasei@pref.fukushima.lg.jp
PDF形式のファイルをご覧いただく場合には、Adobe社が提供するAdobe Readerが必要です。
Adobe Readerをお持ちでない方は、バナーのリンク先からダウンロードしてください。(無料)
